Règlement de l’Ontario 545/21 – Zoning Order in the City of Toronto (Arrêté de zonage dans la ville de Toronto)

Numéro du REO
019-4142
Type d'avis
Bulletin
Loi
Loi sur l'aménagement du territoire, L.R.O. 1990
Affiché par
Ministère des Affaires municipales et du Logement
Date d’affichage
Dernière mise à jour

Le présent avis est fourni à titre d’information seulement. Il n’existe aucune obligation de mener une consultation sur le Registre environnemental de l’Ontario à propos de cette initiative. Pour en savoir davantage sur le processus de consultation et les types d’avis publiés sur le registre.

Résumé de l’avis

Le 30 juillet 2021, le ministre des Affaires municipales et du Logement a déposé un arrêté de zonage, conformément à l’alinéa 47 (1) a) de la Loi sur l’aménagement du territoire, auprès du registrateur des règlements, sous le nom de Règlement de l’Ontario 545/21. La ville de Toronto a demandé que le ministre envisage d’émettre un arrêté de zonage.

Pourquoi une consultation n’est pas nécessaire

La partie II de la Charte des droits environnementaux de 1993 ne s’applique pas aux projets d’arrêté ministériel de zonage en vertu du paragraphe 47 (1) de la Loi sur l’aménagement du territoire ni à ceux de modification ou de révocation d’un arrêté ministériel de zonage en vertu du paragraphe 47 (8) de la Loi.

Détails

Un arrêté de zonage pris en application de l’alinéa 47 (1) a) de la Loi sur l’aménagement du territoire réglemente l’utilisation du sol ainsi que l’édification, l’implantation et l’utilisation de bâtiments ou de constructions sur un terrain.

Le Règlement de l’Ontario 545/21 offre une exemption de certaines exigences de zonage, notamment les exigences de stationnement pour véhicules et vélos, afin de faciliter la conversion de chambres d’hôtel existantes en 84 logements avec services de soutien.

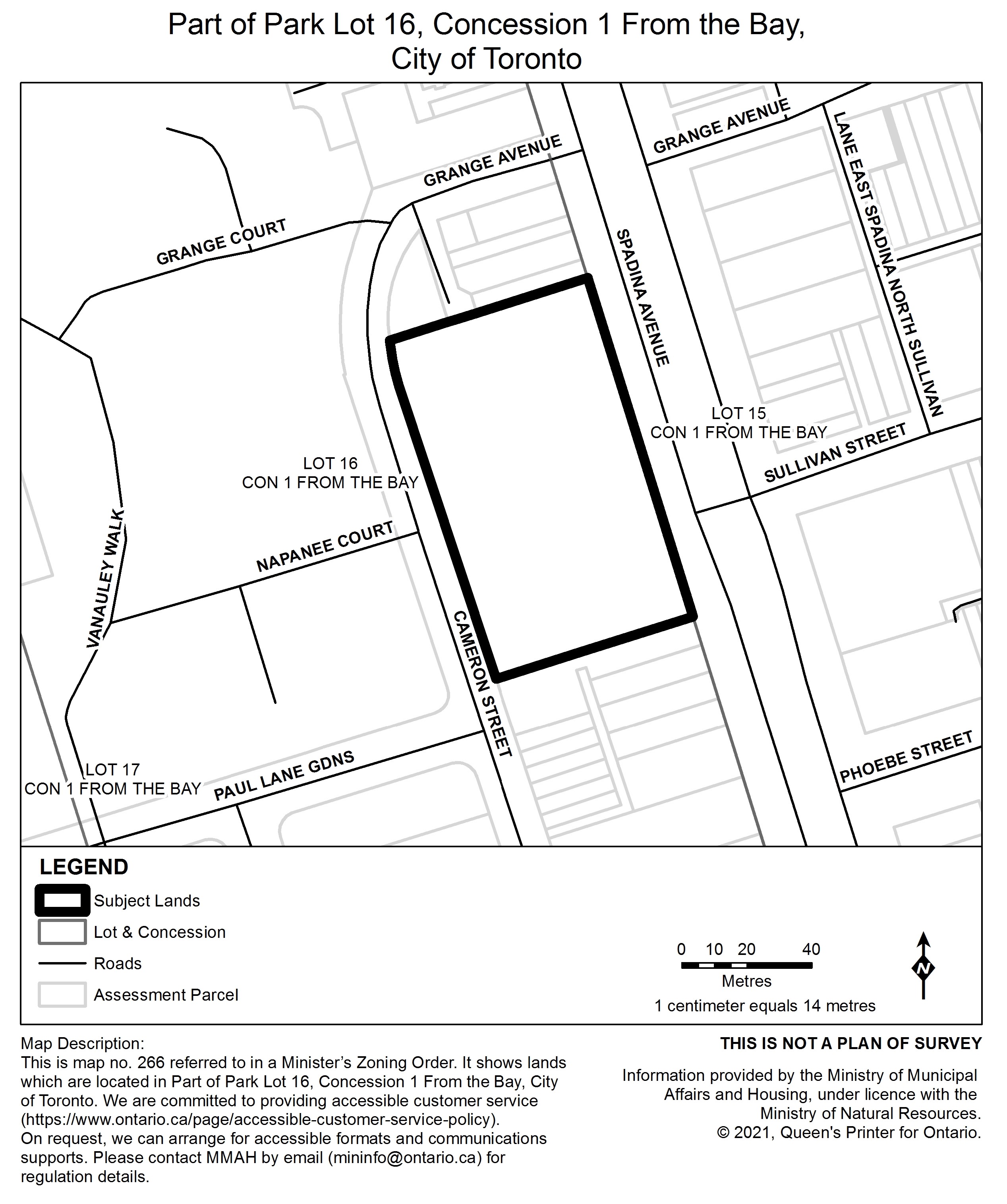
Le Règlement de l’Ontario 545/21 s’applique aux terrains dont la désignation civique est 222, avenue Spadina qui sont situés dans la ville de Toronto. À titre d’exemple, les terrains visés sont représentés sur la carte, dont le lien est fourni ci-dessous.

Conformément au paragraphe 47 (4) de la Loi sur l’aménagement du territoire et, sauf pour l’application de l’article 24, selon le ministre, le Règlement de l’Ontario 545/21 est réputé être et avoir toujours été un règlement municipal adopté par le conseil de la ville de Toronto.

Autres renseignements

Durant la période d’éloignement social et de fermeture des bureaux occasionnée par la COVID-19, un exemplaire du Règlement de l’Ontario 545/21 peut être demandé auprès de la personne-ressource ci-dessous. Lorsque la période d’éloignement social occasionnée par la COVID-19 aura pris fin, un exemplaire du règlement sera mis à la disposition du public à des fins de consultation à l’emplacement ci-dessous et aux bureaux de la ville de Toronto.

Documents justificatifs

Consulter les documents en personne

Certains documents justificatifs peuvent ne pas être accessibles en ligne. Si tel est le cas, vous pouvez demander à consulter les documents en personne.

Veuillez communiquer avec le bureau mentionné ci-dessous pour savoir si les documents sont accessibles.

Bureau des services aux municipalités du Centre de l'Ontario
Address

13e étage
777, rue Bay
Toronto, ON
M7A 2J3
Canada

Office phone number

Communiquer avec nous

Contact

S'inscrire pour obtenir des avis

Nous vous enverrons des avis par courriel accompagnés de toute mise à jour liée à cette consultation. Vous pouvez modifier vos préférences relatives à l'avis en tout temps en allant à votre page de profil où se trouvent vos paramètres.

Suivre cet avis